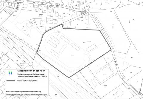
Oberheidstraße/Gartencenter (R 28(v))

Die frühzeitige Öffentlichkeitsbeteiligung zum vorhabenbezogenen Bebauungsplan "Oberheidstraße/Gartencenter - R 28(v)" wurde vom 16. Mai 2025 bis 23. Juni 2025 einschließlich durchgeführt.

 

Ziele der Planung: 
  • Revitalisierung der Flächen im Vorhabengebiet
  • Schaffung von Planungsrecht für ein „Sondergebiet – Gartencenter“ mit rund 10.600 m² Verkaufsfläche und 255 Stellplätzen
  • Erschließung und Anlieferung über die Oberheidstraße im Bereich der heutigen Parkplatzzufahrt
  • Weitgehender Erhalt des baumbestandenen Walls in Richtung Autobahn
Straßen: 
Oberheidstraße
Pläne: 
Geografische Verortung: 

Hinweise

Die hier freigestellten Texte und Pläne dienen zur allgemeinen Information, ein Rechtsanspruch kann daraus nicht abgeleitet werden. Die Originale sind im Stadtplanungsamt während der Öffnungszeiten einsehbar.

Für nähere Informationen zum aktuellen Stand der Planung wenden Sie sich bitte an die zuständigen Ansprechpartner im Amt für Stadtplanung und Wirtschaftsförderung.

Click a feature on the map to see the details